red.diariocritico.com
Boadilla del Monte construirá una nueva pasarela peatonal y ciclista sobre la M-513
Ampliar

Boadilla del Monte construirá una nueva pasarela peatonal y ciclista sobre la M-513

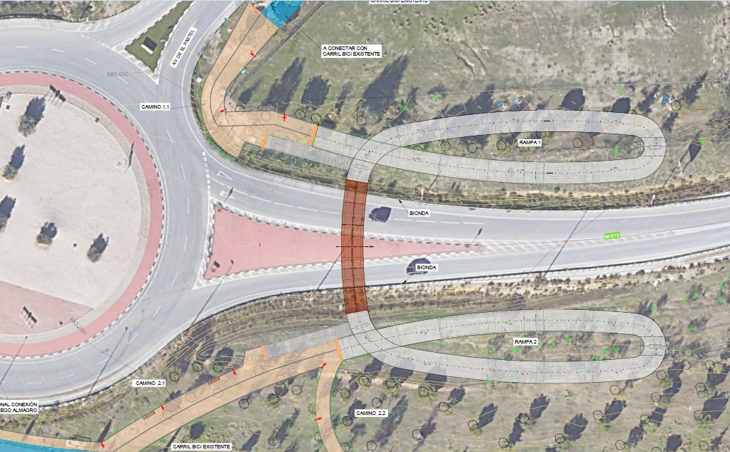
El Ayuntamiento de Boadilla del Monte ha iniciado el proceso de licitación para la construcción de una nueva pasarela peatonal y ciclista sobre la M-513, que conectará las zonas de El Pastel y Valenoso, beneficiando a aproximadamente 15.000 residentes. Esta infraestructura, que se sumará a otras tres ya existentes, tendrá una longitud de 250 metros y estará equipada con iluminación y mobiliario urbano. Se espera que esté operativa en el primer trimestre de 2027, con un presupuesto cercano a los tres millones de euros. Las empresas interesadas pueden presentar sus ofertas hasta el 10 de noviembre. Para más detalles, visita el enlace.

El Ayuntamiento de Boadilla del Monte ha iniciado el proceso de licitación para la construcción de una nueva pasarela peatonal y ciclista sobre la M-513. Este proyecto tiene como objetivo conectar las áreas de El Pastel y Valenoso, donde residen aproximadamente 15.000 vecinos. La nueva infraestructura se sumará a otras tres pasarelas ya existentes que facilitan el tránsito entre diferentes zonas de la localidad.

Las pasarelas previamente instaladas han permitido unir el pasillo verde de Viñas Viejas con Valenoso, así como conectar las urbanizaciones históricas con el casco urbano y facilitar el acceso desde Olivar de Mirabal, El Pastel, Cortijo Sur y La Cárcava hacia la avenida Víctimas del Terrorismo, también en Valenoso.

Detalles del Proyecto

La nueva pasarela tendrá una longitud de 250 metros y contará con un tramo central construido en cajón de acero, además de rampas de acceso realizadas en hormigón armado. Para integrarse estéticamente en su entorno, se aplicará una película protectora de óxido rojizo en su superficie.

El proyecto no solo contempla la construcción de la pasarela, sino también la instalación de iluminación y mobiliario urbano. Asimismo, se prevé el desvío de instalaciones que sean necesarias para llevar a cabo la obra.

Plazos y Costos

Se estima que esta infraestructura estará operativa en el primer trimestre de 2027, con un presupuesto de licitación cercano a los tres millones de euros. Las empresas interesadas en participar tienen plazo para presentar sus ofertas hasta el próximo 10 de noviembre.

Este desarrollo representa un avance significativo en la mejora del transporte peatonal y ciclista en Boadilla del Monte, contribuyendo a una mayor conectividad entre sus distintas áreas residenciales.

Leer más

¿Te ha parecido interesante esta noticia?    Si (0)    No(0)
enviar a reddit

+
0 comentarios